Electronic field guide to AQUATIC MACROINVERTEBRATES of SMALL STREAMS in Eastern Massachusetts

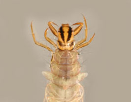
Second thoracic segment with two mid-sized brown hard spots (sclerites) on topside.

Oligostomis_02_thm.jpg
Oligostomis

No such spots on second thoracic segment.

Ptilostomis_03_thm.jpg
Ptilostomis

Go back Restart Key